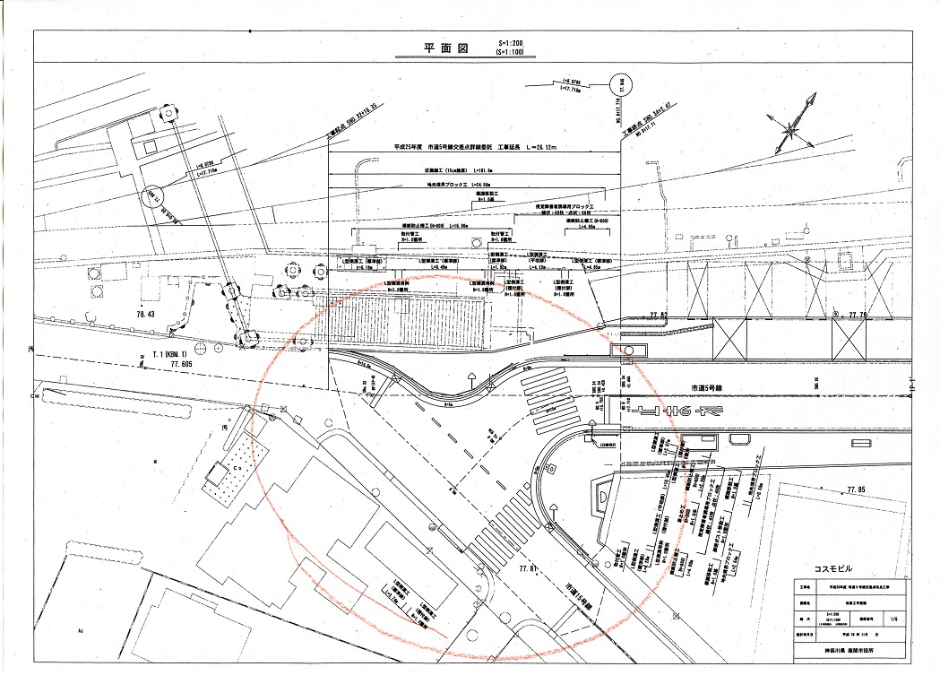
交差点改良 平面図 (その1)

2015-03-10

3月10日(火曜)

相武台前駅南口の交差点改良は、バス通りを優先道路に位置付けるため、

下地図の平面図となります。

安全対策のための工事を行っております。今月内に着工を予定しております

ご理解とご協力のほどよろしくお願い致します。

(平面図)